Wydanie nr 22/04/2026 z dnia 22 kwietnia 2026 roku, ISSN 2392-215X

Nieruchomości
Cena: 28.000.000,00 zł
Powierzchnia: 13778.00 m2

Nieruchomość pod usługi lecznictwa uzdrowiskowego i usługi turystyczne, położona w Kołobrzegu przy ul. Franciszka Morawskiego

Wydanie nr 26/05/2025 z dnia 26 maja 2025 roku, ISSN 2392-215X

Cena: 28.000.000,00 zł
Powierzchnia: 13778.00 m2
Typ transakcji: Sprzedaż
Przedmiot ogłoszenia: Działka
Miejscowość ogłoszenia: Kołobrzeg,
Gmina: Kołobrzeg,
Województwo: zachodniopomorskie

Szczegóły

Nieruchomość pod usługi lecznictwa uzdrowiskowego i usługi turystyczne, położona w Kołobrzegu przy ul. Franciszka Morawskiego.

 

I przetarg ustny nieograniczony na zbycie nieruchomości położonej w Kołobrzegu przy ul. Franciszka Morawskiego w Kołobrzegu

 

Kołobrzeg 23 maja 2025 r.

GN.6840.1.1.2014.II

 

Na podstawie art. 38 ustawy z dnia 21 sierpnia 1997 r. o gospodarce nieruchomościami (Dz. U. z 2024 r. poz. 1145, z późn. zm.) i rozporządzenia Rady Ministrów z dnia 14 września 2004 r. w sprawie sposobu i trybu przeprowadzania przetargów oraz rokowań na zbycie nieruchomości (Dz.U. z 2021 r. poz. 2213) oraz uchwały Rady Miasta Kołobrzeg NR XI/180/25 z dnia 26 lutego 2025 r.,

 

PREZYDENT MIASTA KOŁOBRZEG

ogłasza I przetarg ustny nieograniczony na zbycie nieruchomości położonej w Kołobrzegu

 

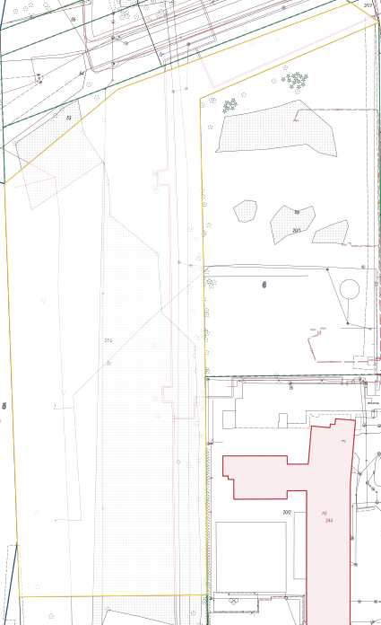
  • Położenie i opis nieruchomości: ul. Franciszka Morawskiego w Kołobrzegu

  • Oznaczenie geodezyjne

    • Nr działki – 31/2

  • obręb 6

  • Powierzchnia w hektarach1,3778

  • Opis nieruchomości – Nieruchomość niezabudowana, położona w strefie nadmorskiej miasta. Uzbrojenie techniczne terenu pełne (działka w terenie zurbanizowanym). Dostępność komunikacyjna dobra. Kształt nieruchomości regularny. Otoczenie i sąsiedztwo dobre – działki zabudowane budynkami hotelowymi, usług turystyki. Przy wschodniej granicy przebiegają sieci: kanalizacji sanitarnej i cieplnej oraz w środkowej części działki sieć kanalizacji deszczowej i wodociągowej. Na działce znajdują się zakrzewienia i zadrzewienia.

  • Przeznaczenie w planie zagospodarowania przestrzennego 7UZ,UT - tereny zabudowy usług lecznictwa uzdrowiskowego i usług turystycznych; zakłady i urządzenia lecznictwa uzdrowiskowego, budynki hotelowe, pensjonatowe oraz obiekty i urządzenia sportowo-rekreacyjne.

  • Forma zbycia nieruchomości – własność.

  • Cena wywoławcza w zł 28.000.000,- brutto (w tym VAT 23%)

  • Wadium w zł2.800.000,-

  • Postąpienie minimalne w zł – 280.000,-

Szczegółowe informacje dotyczące ww. nieruchomości, można uzyskać w Urzędzie Miasta Kołobrzegu ul. Ratuszowa 13, Wydział Gospodarki Nieruchomościami, tel. 94 35 515 62 lub e-mail: i.galazka@um.kolobrzeg.pl.

Tekst niniejszego ogłoszenia opublikowany został również na internetowej stronie Urzędu Miasta Kołobrzeg pod adresem www.i-kolobrzeg.pl i w Biuletynie Informacji Publicznej Urzędu Miasta Kołobrzeg oraz wywieszony na tablicy ogłoszeń tutejszego urzędu (korytarz parter i III piętro).

 

Lokalizacja

Nieruchomości

Proponowane dla Ciebie

Syndyk sprzeda udział w nieruchomości niezabudowan...

Powierzchnia: 4572.00

Cena: 22.770,00

Data: 21.04.2026

Sprzedaż
Działka

Pewel Wielka, slaskie

Syndyk sprzeda lokal mieszkalny w Cieszynie

Powierzchnia: 70.50

Cena: 395.000,00

Data: 20.04.2026

Sprzedaż
Mieszkanie

Cieszyn, slaskie

Syndyk masy upadłości oferuje na sprzedaż obiekt r...

Powierzchnia: 1970.00

Cena: 2.155.000,00

Data: 20.04.2026

Sprzedaż
Obiekt użytkowy

Świerklany, slaskie

Syndyk oferuje do sprzedaży udział w wysokości 1/2...

Powierzchnia: 3591.00

Cena: 3.244,43

Data: 20.04.2026

Sprzedaż
Działka

Błądzim, kujawsko-pomorskie

Syndyk sprzeda wyposażenie restauracji oraz udział...

Data: 19.04.2026

Sprzedaż
Obiekt użytkowy

Ustroń, slaskie

Syndyk masy upadłości sprzeda udział w nieruchomoś...

Powierzchnia: 63200.00

Cena: 18.375,00

Data: 14.04.2026

Sprzedaż
Działka

Barany, kujawsko-pomorskie

Syndyk sprzeda nieruchomość niezabudowaną położoną...

Powierzchnia: 1000.00

Cena: 165.300,00

Data: 13.04.2026

Sprzedaż
Działka

Zieleniec, lubuskie

Syndyk sprzeda nieruchomość zabudowaną położoną w...

Powierzchnia: 119.00

Cena: 652.175,00

Data: 13.04.2026

Sprzedaż
Dom

Gorzów Wielkopolski, lubuskie

IV przetarg na sprzedaż prawa własności nieruchomo...

Data: 12.04.2026

Sprzedaż
Działka

Brzozowiec, lubuskie

Sprzedaż działki rolnej nr 687 w miejscowości Dług...

Powierzchnia: 3821.00

Cena: 27.000,00

Data: 12.04.2026

Sprzedaż
Działka

Długie, podkarpackie

Syndyk masy upadłości sprzeda nieruchomość niezabu...

Powierzchnia: 1507.00

Cena: 3.300,00

Data: 12.04.2026

Sprzedaż
Działka

Poręby, podkarpackie

Prawo własności nieruchomości lokalowej mieszkalne...

Powierzchnia: 52.30

Cena: 348.800,00

Data: 10.04.2026

Sprzedaż
Mieszkanie

Dziwnów, zachodniopomorskie

Syndyk oferuje do sprzedaży z wolnej ręki w trybie...

Powierzchnia: 456.00

Cena: 22.330,00

Data: 10.04.2026

Sprzedaż
Działka

Osowiec, opolskie

Syndyk sprzeda mieszkanie

Powierzchnia: 47.00

Cena: 219.300,00

Data: 10.04.2026

Sprzedaż
Mieszkanie

Gliwice, slaskie

3/4 udziału spółdzielczego własnościowego prawa do...

Powierzchnia: 36.70

Cena: 148.360,00

Data: 10.04.2026

Sprzedaż
Mieszkanie

Częstochowa, slaskie